
Land really is the best art.
Own your piece of the American West in Beautiful Humboldt County Nevada
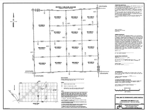
These newly released subdivided 40 acre parcels were surveyed and staked in 2021 and are situated roughly 28 miles from Dwight D. Eisenhower Hwy (80) and the town of Golconda in the South Eastern Corner of Humboldt County, Nevada.
Public utility easements are hereby granted 10.0 feet in width coincident with all dedicated street rights-of-ways, 5 feed in width with coincident with all other exterior boundaries, and 10 feet in width centered on all interior lot lines. A public utility easement is also hereby granted within each parcel for the exclusive purpose of installing and maintaining utility service facilities to that parcel and the right to exit that parcel with said utility facilities for the purpose of serving adjacent parcels at locations mutually agreed upon by the owner of record at that time, and the utility company, consistent with standard utility practice.
30’ wide easements for roadway and utility purposes as indicated are hereby offered for dedication to Humboldt County.
Any roads shown on this map may or may not guarantee legal access to the parcels shown.
A county building permit is required prior to construction of certain structures or improvements to the property.
Humboldt county is not obligated to build and maintain any roads to the property from the nearest county maintained road.

Total Area
Fourteen 40 acre parcels
and
One 80 acre parcel
Landmark
Roughly 28 miles from Dwight D. Eisenhower Hwy (80)
Address
Humboldt County Nevada
State
Nevada, United States
RV Usage:
Per the Humboldt County Zoning Office, RVs may be used for 30 days at a time in this region and longer with a building permit. For exact permitting requirements, Dollar Land Store encourages buyers to contact the Humboldt County Zoning Office directly.
Open Range District:
It should be noted that this property sits in what is considered an "open range district" meaning an area where cattle and other livestock may reside and wander freely. This means that anyone looking to develop the property who wants to keep such animals off the land will need to invest in fencing the perimeter.
Roads & Access:
While these parcels have legal access, the legal easements are not maintained or easily identified. Like most land in this region this will likely require you to cross over some neighboring parcels before accessing the subject property. As none of the neighboring parcels are developed or fenced, and as this is common in this region, potential buyers should have little difficulty scouting the land. Additionally, anyone looking to develop the property can seek the help of a surveyor in identifying the designated legal easements.
Explore Now